£290,000
(£83.33/sq. ft)
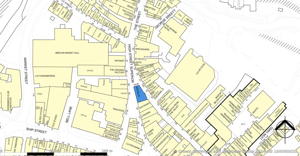
Retail premises for sale19-20 High Street, Brecon LD3
3,480 sq. ft
EPC Rating: D
About this property
Development Opportunity; Possible Conversion to Residential on Upper Floors
In an Excellent Position in Town Centre with Notable Occupiers Nearby being Specsavers, NatWest and a Mix of Local Occupiers
Dual Access from High Street and Lion Street
Available Due to Relocation
Reduced price
Estimated Rates Payable: £9914.5
The property comprises a five storey building over ground, first, second, basement (and attic) floors. The shop has access for customers via two separate entrances on the High Street. Access to the upper floors is provided via Lion Street. The ground and first floor provide the sales area, the upper floors house storage space, WCs and kitchenette. The property benefits from A1 Use, however, other uses will be considered subject to planning.
Location
The property is located in Brecon Town Centre, an affluent and quaint market town in the County of Powys, with links to both the A40 and A470. The property is prominently situated on the High Street with nearby occupiers including Santander, Specsavers, Peacocks, NatWest and Savers. A mix of local A1-A3 occupiers are nearby.
Viewings
By appointment via sole agents Cooke & Arkwright.
Terms
The property is available to buy freehold with vacant possession at a reduced price of £290,000. The property is available to let as a whole at a quoting rent of £19,500 pax. The landlord may consider letting part of the building.
Anti-Money Laundering Regulations
The Purchaser will be required to satisfy the Vendor and their Agents regarding the source of funds used to complete the transaction plus providing identification where necessary.
Mortgage calculator
£1,450 per month
70+ lenders and 10,000+ products
The monthly repayments provided are estimates and should be used as a guide only. The actual amount you can borrow will depend on your personal financial situation and subject to a full application. For a more precise estimate, please use the Mojo mortgage calculator. Your home or property may be repossessed if you do not keep up repayments on your mortgage.



.png)