Offers over
£65,000
Land for saleLlwyncelyn Road, Glanamman, Ammanford, Carmarthenshire SA18
Freehold
About this property
One Sizeable Building Plot
Far Reaching Views Along A Leafy Country Lane
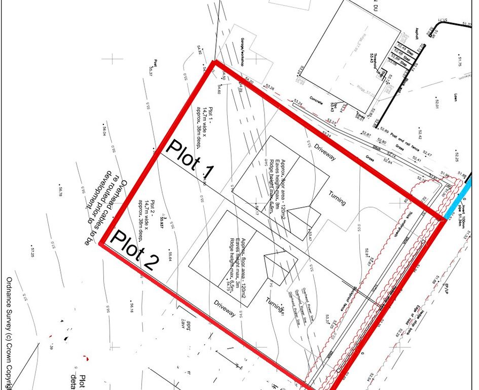
Seize the rare opportunity to acquire one of two enticing building plots nestled on a serene country road in the picturesque village of Glanamman. Offering panoramic vistas of majestic mountains, these plots promise an idyllic setting for crafting your dream abode.
Each plot spans approximately 14.7 meters in width and 28 meters in depth, providing ample space for designing a bespoke residence tailored to your preferences. With outline planning permission already secured (planning reference number: E/39321), the idea is laid for transforming these parcels into a haven of modern living amidst nature's splendor.
Imagine waking up to the tranquil ambiance of rural life, with the gentle rustle of leaves and the distant murmur of streams as your backdrop. Whether you envision a cozy retreat or a contemporary architectural marvel, these plots offer boundless potential for realizing your vision.
Conveniently located yet blissfully secluded, these plots strike the perfect balance between accessibility and escapism. Embrace a lifestyle of serenity and inspiration in Glanamman, where every day unfolds against a backdrop of breathtaking scenery.
Don't miss this chance to secure your slice of paradise. Contact us now to arrange a viewing and embark on the journey to creating your own sanctuary amidst nature's grandeur.
Each plot spans approximately 14.7 meters in width and 28 meters in depth, providing ample space for designing a bespoke residence tailored to your preferences. With outline planning permission already secured (planning reference number: E/39321), the idea is laid for transforming these parcels into a haven of modern living amidst nature's splendor.
Imagine waking up to the tranquil ambiance of rural life, with the gentle rustle of leaves and the distant murmur of streams as your backdrop. Whether you envision a cozy retreat or a contemporary architectural marvel, these plots offer boundless potential for realizing your vision.
Conveniently located yet blissfully secluded, these plots strike the perfect balance between accessibility and escapism. Embrace a lifestyle of serenity and inspiration in Glanamman, where every day unfolds against a backdrop of breathtaking scenery.
Don't miss this chance to secure your slice of paradise. Contact us now to arrange a viewing and embark on the journey to creating your own sanctuary amidst nature's grandeur.
Mortgage calculator
Monthly repayment
£325 per month
Whole of market comparison
70+ lenders and 10,000+ products
The monthly repayments provided are estimates and should be used as a guide only. The actual amount you can borrow will depend on your personal financial situation and subject to a full application. For a more precise estimate, please use the Mojo mortgage calculator. Your home or property may be repossessed if you do not keep up repayments on your mortgage.



.png)