£200,000
Land for saleNorwich Road, New Costessey, Norwich NR5
EPC Rating: C
Freehold
About this property
Rare Opportunity For A Self Build property
Full Planning Permission Agreed
Over 2000 square feet Of Accommodation
Desirable Location
Ideal For Self Build Project
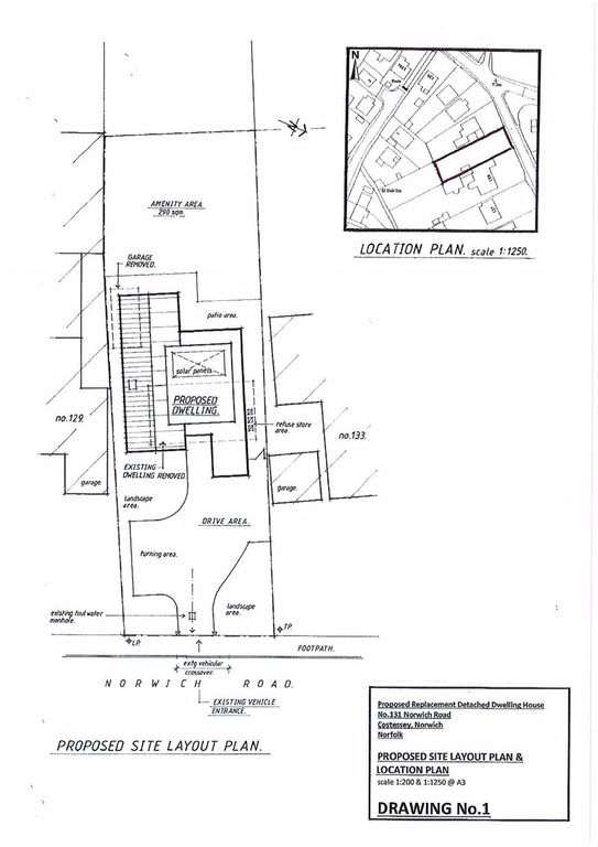
Planning Reference Number 2025/0719
Call Now For Further Details
***rare opportunity*** Located in this highly desirable suburb of Norwich, Iconic estate agents are delighted to bring to the market this spacious building plot with full planning permission granted for a four-bedroom detached family home with over 2000 square feet of accommodation. The plot which extended to just over a third of an acre and benefits from rear pedestrian access. The property will boast accommodation that comprises; a hall entrance, spacious lounge, utility room a spacious open plan kitchen/dining/family room which overlooks the garden to the rear. Upstairs there are four generous bedrooms with two en-suite bathrooms, a family bathroom and two balconies’ overlooking the garden. This represents a fantastic opportunity for a self-build project or small developer to build this amazing family home. The full planning application number on the Broadland planning site is 2025/0719. If you have any further questions or wish to arrange a time to view, please call Iconic today.



.png)