Offers in region of
£85,000
Land for saleStokes Road, East Ham E6
1 bed
1 bath
1 reception
Freehold
About this property
Opportunity to acquire land
Located in a residential area
Site area is 69 sq. Meters
Erection of a new 1 bedroom dwelling (subject to planning)
Located close to A13 into Central London
Excellent transport Links to City & Docklands
Viewings Highly Recommended
Morgan Knights are pleased to offer for sale this exceptional and extremely rare opportunity to acquire land, located in a residential area in east ham.
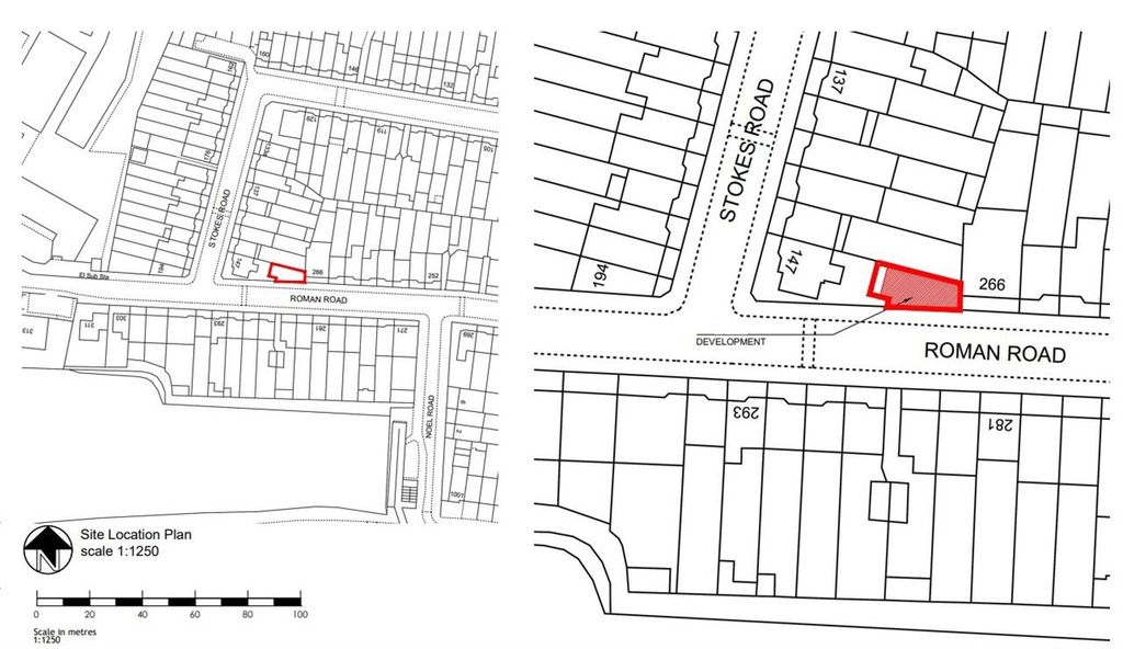
The plot of land known as Stokes Road lies to the rear of 147 Stokes Road. The title has been split to create the site.
The title plan number is TGL606233. Measurement of the site area is 69 sq. Meters.
Development
A Freehold residential development opportunity for erection of a new 1 bedroom dwelling (subject to planning).
Location:
Property is located close to A13 into Central London, excellent transport Links to City & Docklands.
Planning
The local Planning Authority is London Borough of Newham.
Services
Mains water and electricity are available to the site, but all interested parties are advised to satisfy themselves fully as to the availability and suitability of all services.
The plot of land known as Stokes Road lies to the rear of 147 Stokes Road. The title has been split to create the site.
The title plan number is TGL606233. Measurement of the site area is 69 sq. Meters.
Development
A Freehold residential development opportunity for erection of a new 1 bedroom dwelling (subject to planning).
Location:
Property is located close to A13 into Central London, excellent transport Links to City & Docklands.
Planning
The local Planning Authority is London Borough of Newham.
Services
Mains water and electricity are available to the site, but all interested parties are advised to satisfy themselves fully as to the availability and suitability of all services.
Mortgage calculator
Monthly repayment
£425 per month
Whole of market comparison
70+ lenders and 10,000+ products
The monthly repayments provided are estimates and should be used as a guide only. The actual amount you can borrow will depend on your personal financial situation and subject to a full application. For a more precise estimate, please use the Mojo mortgage calculator. Your home or property may be repossessed if you do not keep up repayments on your mortgage.



.png)