Guide price
£65,000
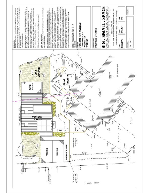
Land for saleLaurel Road, Worcester WR4
3 beds
2 baths
1 reception
EPC Rating: D
Back to market
Freehold
About this property
Building Plot for a 3 Bedroom Town House
Planning No. 23/00832/out & Reserved Matters No. 24/00220/rm
Two off road parking spaces
Convenient residential area/location
Far reaching views over Worcester
A building plot with Planning Permission for a three bedroom detached town house. We are advised that the drainage has been connected to the site, the proposed dwelling 7 levels have been set out. - Planning No. 23/00832/out. Reserved Matters No. 24/00220/rm
Mortgage calculator
Monthly repayment
£325 per month
Whole of market comparison
70+ lenders and 10,000+ products
The monthly repayments provided are estimates and should be used as a guide only. The actual amount you can borrow will depend on your personal financial situation and subject to a full application. For a more precise estimate, please use the Mojo mortgage calculator. Your home or property may be repossessed if you do not keep up repayments on your mortgage.



.png)