Offers over
£50,000
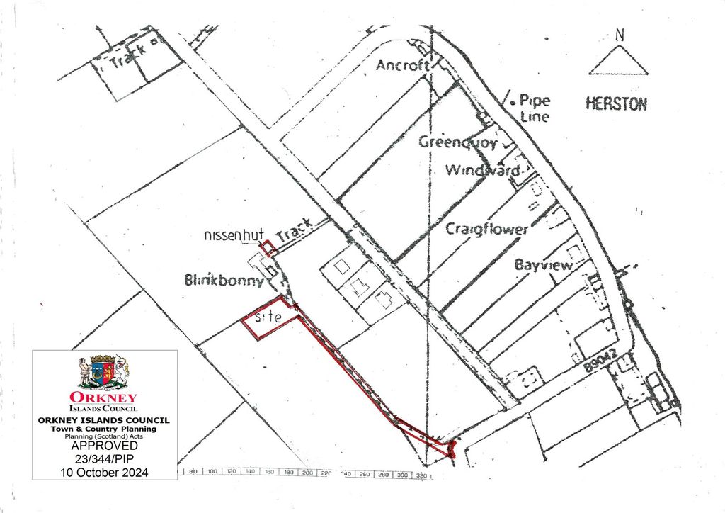
Land for saleBuilding Site, Near Blinkbonny, Herston KW17
Freehold
About this property
This large building site, extending to 1500m2 or thereby, enjoys a beautiful panoramic view from its elevated position.
There is Planning in Principle to erect a new dwelling on the site (oic ref 23/344/pip). The sellers will remove the Nissan hut as stipulated by the oic.
The purchasers of the site will have access rights to the property which will include a share of the upkeep of the track.
This large building site, extending to 1500m2 or thereby, enjoys a beautiful panoramic view from its elevated position.
There is Planning in Principle to erect a new dwelling on the site (oic ref 23/344/pip). The sellers will remove the Nissan hut as stipulated by the oic.
The purchasers of the site will have access rights to the property which will include a share of the upkeep of the track.
There is Planning in Principle to erect a new dwelling on the site (oic ref 23/344/pip). The sellers will remove the Nissan hut as stipulated by the oic.
The purchasers of the site will have access rights to the property which will include a share of the upkeep of the track.
This large building site, extending to 1500m2 or thereby, enjoys a beautiful panoramic view from its elevated position.
There is Planning in Principle to erect a new dwelling on the site (oic ref 23/344/pip). The sellers will remove the Nissan hut as stipulated by the oic.
The purchasers of the site will have access rights to the property which will include a share of the upkeep of the track.
Mortgage calculator
Monthly repayment
£250 per month
Whole of market comparison
70+ lenders and 10,000+ products
The monthly repayments provided are estimates and should be used as a guide only. The actual amount you can borrow will depend on your personal financial situation and subject to a full application. For a more precise estimate, please use the Mojo mortgage calculator. Your home or property may be repossessed if you do not keep up repayments on your mortgage.



.png)