Guide price
£500,000
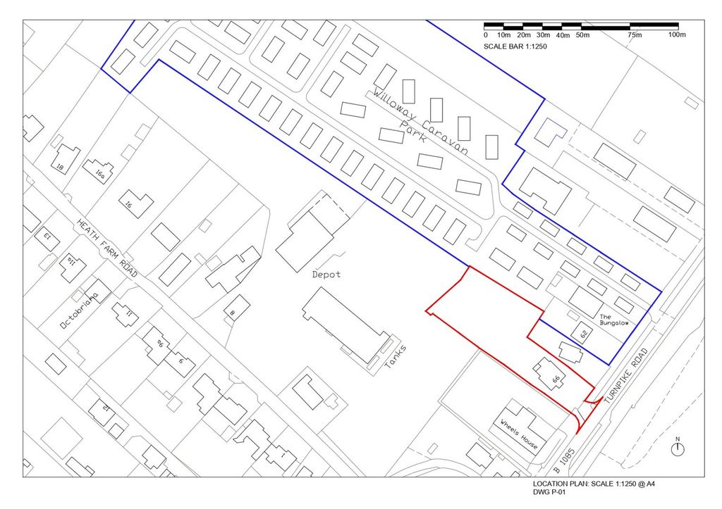
Land for saleLand At Turnpike Road, Red Lodge, Bury St. Edmunds IP28
Freehold
About this property
An excellent opportunity to acquire a residential development site with the benefit of detailed planning consent for the erection of 4no. Detached dwellings.
Location
Red Lodge is a popular village located about 5 miles north of Newmarket and 20 miles from Cambridge. The village has undergone significant and rapid redevelopment in recent years and as a result there are a number of local amenities including shops, two primary schools, church, sports pavillion and village hall. The village is well placed for access to the A11 and A14 and the nearest train station is Kennett, about 5–8 minutes’ drive from Red Lodge, with a service to Cambridge.
Planning Consent
West Suffolk Council planning reference DC/25/0125/ful grants permission for the construction of four dwellings with associated access (following demolition of existing dwelling)
The site has detailed planning consent to erect-
Plot 1- 3/4 bed detached 1,507 sq.ft
Plot 2- 4 bed detached 1,776 sq.ft
Plot 3- 4 bed detached 1,776 sq.ft
Plot 4- 3 bed detached 1,313 sq.ft
Please speak to Cheffins New Homes team for assistance on property prices in the area and projected gdv
Biodiversity Net Gain
Overall, across the planned development there is a net loss of 0.14 habitat area units and gain of 0.18 linear units, resulting in a net percentage change of -37.08% for habitat area units and +1492.25% for linear units. Furthermore, the proposed development does not meet the trading rules of bng. In order to meet the trading rules of bng and achieve a minimum 10% net gain in biodiversity, a total of 0.17 habitat units are required. A total of 0.14 of those units should be from vegetated garden or a habitat of medium distinctiveness or above.
Method Of Sale
The site is offered for sale by Private Treaty.
Location
Red Lodge is a popular village located about 5 miles north of Newmarket and 20 miles from Cambridge. The village has undergone significant and rapid redevelopment in recent years and as a result there are a number of local amenities including shops, two primary schools, church, sports pavillion and village hall. The village is well placed for access to the A11 and A14 and the nearest train station is Kennett, about 5–8 minutes’ drive from Red Lodge, with a service to Cambridge.
Planning Consent
West Suffolk Council planning reference DC/25/0125/ful grants permission for the construction of four dwellings with associated access (following demolition of existing dwelling)
The site has detailed planning consent to erect-
Plot 1- 3/4 bed detached 1,507 sq.ft
Plot 2- 4 bed detached 1,776 sq.ft
Plot 3- 4 bed detached 1,776 sq.ft
Plot 4- 3 bed detached 1,313 sq.ft
Please speak to Cheffins New Homes team for assistance on property prices in the area and projected gdv
Biodiversity Net Gain
Overall, across the planned development there is a net loss of 0.14 habitat area units and gain of 0.18 linear units, resulting in a net percentage change of -37.08% for habitat area units and +1492.25% for linear units. Furthermore, the proposed development does not meet the trading rules of bng. In order to meet the trading rules of bng and achieve a minimum 10% net gain in biodiversity, a total of 0.17 habitat units are required. A total of 0.14 of those units should be from vegetated garden or a habitat of medium distinctiveness or above.
Method Of Sale
The site is offered for sale by Private Treaty.
Mortgage calculator
Monthly repayment
£2,501 per month
Whole of market comparison
70+ lenders and 10,000+ products
The monthly repayments provided are estimates and should be used as a guide only. The actual amount you can borrow will depend on your personal financial situation and subject to a full application. For a more precise estimate, please use the Mojo mortgage calculator. Your home or property may be repossessed if you do not keep up repayments on your mortgage.



.png)