Guide price
£79,950
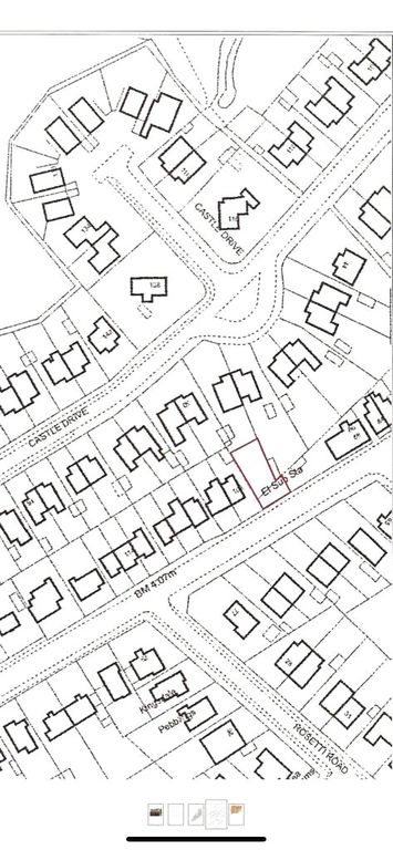
Land for saleCastle Drive, Pevensey Bay BN24
Freehold
About this property
Guide price £79,950
description: A rare chance to purchase some land located centrally in Pevensey Bay with road frontage. This land has currently been refused planning on appeal for a residential property, but there are positive indications that garaging could be built on this site subject to planning.
Although the current planning guidelines and policy have clearly blocked any residential dwelling being built on this parcel of land on appeal, there may be long term future potential in the years to come if policy were ever to change.
There is currently a good area to construct subject to planning a large double garage, or perhaps two smaller garages, which may also have potential subject to planning for commercial usage.
Location: This strategically located parcel of land is located in the heart of Pevensey Bay with direct road frontage and within easy walking distance of all of its local amenities, as well as the sea and beach, making this site ideal to have a garage storage building built upon subject to planning.
The local train stations and the town of Eastbourne are also conveniently close
description: A rare chance to purchase some land located centrally in Pevensey Bay with road frontage. This land has currently been refused planning on appeal for a residential property, but there are positive indications that garaging could be built on this site subject to planning.
Although the current planning guidelines and policy have clearly blocked any residential dwelling being built on this parcel of land on appeal, there may be long term future potential in the years to come if policy were ever to change.
There is currently a good area to construct subject to planning a large double garage, or perhaps two smaller garages, which may also have potential subject to planning for commercial usage.
Location: This strategically located parcel of land is located in the heart of Pevensey Bay with direct road frontage and within easy walking distance of all of its local amenities, as well as the sea and beach, making this site ideal to have a garage storage building built upon subject to planning.
The local train stations and the town of Eastbourne are also conveniently close
Mortgage calculator
Monthly repayment
£399 per month
Whole of market comparison
70+ lenders and 10,000+ products
The monthly repayments provided are estimates and should be used as a guide only. The actual amount you can borrow will depend on your personal financial situation and subject to a full application. For a more precise estimate, please use the Mojo mortgage calculator. Your home or property may be repossessed if you do not keep up repayments on your mortgage.



.png)