Guide price
£9,000
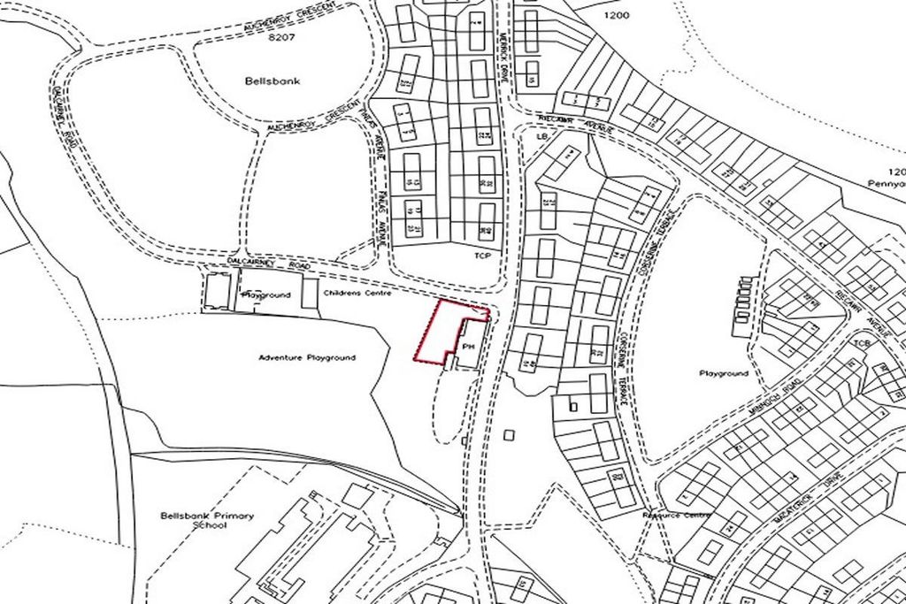
Land for saleLand At, Dalcairney Drive, Dalmellington KA6
About this property
***Building plot with lapsed planning permission for residential development***freehold Site***
***Mega low guide price to ensure sale in auction***Incredibly low auction guide for good sized plot with lapsed residential planning***
***The site is offered with previous planning for residential development. 2012, details available on East Ayrshire Council planning website: Reference: 12/0517/ppp***
***Potential financial uplift*** Potential to purchase the suite and obtain planning and resell*** generally flat and rectangular in shape located behind a terrace of shops***
***Located within a popular residential area close to shops. Potential alternative uses subject to planning***
***Building plot with lapsed planning permission for residential development***freehold Site*** ***Mega low guide price to ensure sale in auction***Incredibly low auction guide for good sized plot with lapsed residential planning*** ***The site is offered with previous planning for residential development. 2012, details available on East Ayrshire Council planning website: Reference: 12/0517/ppp*** ***Potential financial uplift*** Potential to purchase the suite and obtain planning and resell*** generally flat and rectangular in shape located behind a terrace of shops*** ***Located within a popular residential area close to shops. Potential alternative uses subject to planning***
Dalmellington is a small town 15 miles south east of Ayr, located on the A713 to Castle Douglas with excellent transport links to include Prestwick International Airport, and swift commuting to Ayr, Newton Stewart and Castle Douglas. The village is located within 30 mins of Ayr and Glasgow city centre approx. 55 mins. The property is within the heart of the historic market town. Dalmellington is a historic and bustling Ayrshire town yet within a short commute of Ayr and Girvan. Local population of approximately 1500 persons. Nearby Ayr offers a superb selection of shops and amenities including Marks & Spencers and Debenhams superstore
Auction Details
26 February 2026,10am-3pm
Timed Online Auction
How to Bid Now
Submit an enquiry now or visit our website for full details on how to bid on this property.
Future Property Auctions - Scotland's Largest Land and Property Auction House. Over 400 lots auctioned every 2 weeks including flats, houses, land & commercial.
Get a Fast Sale and a Fair Price with Future Property Auctions. Contact Us now for a free Auction Valuation.
Mortgage calculator
£45 per month
70+ lenders and 10,000+ products
The monthly repayments provided are estimates and should be used as a guide only. The actual amount you can borrow will depend on your personal financial situation and subject to a full application. For a more precise estimate, please use the Mojo mortgage calculator. Your home or property may be repossessed if you do not keep up repayments on your mortgage.



.jpeg)