Guide price
£120,000
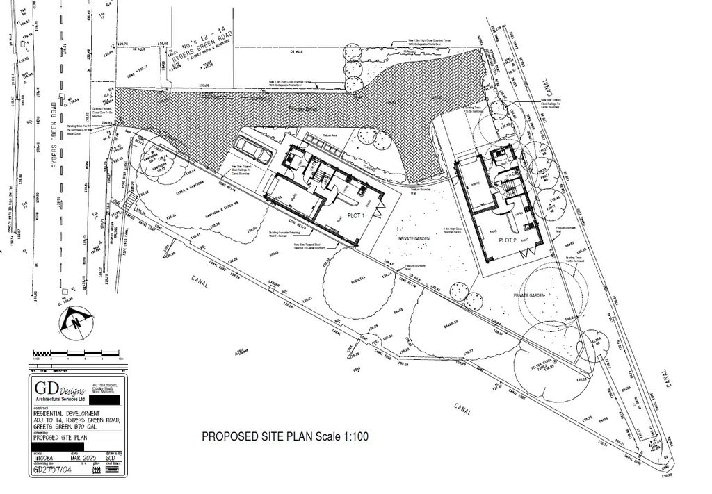
Land for saleRyders Green Road, West Bromwich B70
About this property
Sale by Modern Auction (T&Cs apply)
Subject to an undisclosed Reserve Price
Buyers fees apply
Planning permission in place for 2 X 5 bedroom detached houses
Local to various transport links such as metro, train and bus
Canal side views
Application reference: DC/25/70421
Close to west bromwich town centre and great bridge retail park
Prime residential development opportunity, with attractive views over the nearby canal network. An ideal project for developers seeking a well-located site with permission already in place for two substantial 5-bedroom detached houses. The plot offers a sustainable location close to local amenities.
Description
Building plot measuring 0.2 acres with planning consent for two x 5 bedroom executive detached houses (Planning App No: DC/25/70421), located in an established residential area close to all usual amenities and with excellent transport links via the nearby Black Country Spine Road, Midland Metro light rail connecting to Birmingham & Wolverhampton and nearby main-line railway stations at Dudley Port & Sandwell & Dudley.
Auctioneer's Comments
This property is offered through Modern Method of Auction. Should you view, offer or bid your data will be shared with the Auctioneer, iamsold Limited. This method requires both parties to complete the transaction within 56 days, allowing buyers to proceed with mortgage finance (subject to lending criteria, affordability and survey).
The buyer is required to sign a reservation agreement and make payment of a non-refundable Reservation Fee of 4.5% of the purchase price including VAT, subject to a minimum of £6600.00 including VAT. This fee is paid in addition to purchase price and will be considered as part of the chargeable consideration for the property in the calculation for stamp duty liability. Buyers will be required to complete an identification process with iamsold and provide proof of how the purchase would be funded.
The property has a Buyer Information Pack containing documents about the property. The documents may not tell you everything you need to know, so you must complete your own due diligence before bidding. A sample of the Reservation Agreement and terms and conditions are contained within this pack. The buyer will also make payment of no more than £349 inc. VAT towards the preparation cost of the pack. Please confirm exact costs with the auctioneer.
The estate agent and auctioneer may recommend the services of other providers to you, in which they will be paid for the referral. These services are optional, and you will be advised of any payment, in writing before any services are accepted. Listing is subject to a start price and undisclosed reserve price that can change.
1. Money laundering regulations - Intending purchasers will be asked to produce identification documentation at a later stage and we would ask for your co-operation in order that there will be no delay in agreeing the sale.
2: These particulars do not constitute part or all of an offer or contract.
3: The measurements indicated are supplied for guidance only and as such must be considered incorrect.
4: Potential buyers are advised to recheck the measurements before committing to any expense.
5: Connells has not tested any apparatus, equipment, fixtures, fittings or services and it is the buyers interests to check the working condition of any appliances.
6: Connells has not sought to verify the legal title of the property and the buyers must obtain verification from their solicitor.
Mortgage calculator
£600 per month
70+ lenders and 10,000+ products
The monthly repayments provided are estimates and should be used as a guide only. The actual amount you can borrow will depend on your personal financial situation and subject to a full application. For a more precise estimate, please use the Mojo mortgage calculator. Your home or property may be repossessed if you do not keep up repayments on your mortgage.



.png)