£850,000
Land for salePeterborough Road, Eye, Peterborough, Cambridgeshire PE6
Freehold
About this property
Proposed development opportunity – eye
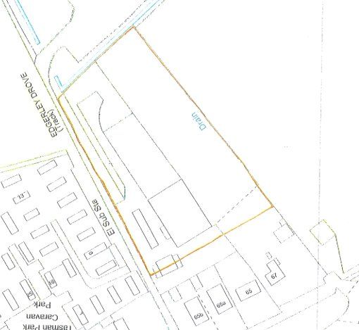
An exciting opportunity to acquire a substantial parcel of land extending to 1.43 acres (0.58 hectares) in the sought-after village of Eye, situated on Edgerley Drove, to the west of 65a, 65b, 65 and 67 Peterborough Road, Eye.
The Site
The land is generally level and comprises two separate parcels, which will require registration and title deeds to be drawn up in order to combine them as one single title.
Left-hand parcel – Former equestrian with agricultural buildings.
Right-hand parcel – Garden land, mainly laid to grass.
This versatile site offers potential for future development (subject to obtaining the necessary planning permissions).
Planning & Drawings
Drawings and plans have previously been prepared and are shown within the marketing photographs.
Please note:
Planning permission has not been granted. The drawings provided are for illustrative purposes only and represent an example of how the plot could be developed, subject to the appropriate consents.
Opportunity
Opportunities of this size and location rarely become available. With its generous acreage and established setting, the land offers significant potential for those seeking a development project in a desirable and well-connected area.
For further information please get in touch.
Disclaimer
These particulars are intended as a general guide only and do not form part of any offer or contract. All descriptions, dimensions, references to condition, necessary permissions for use and occupation, and other details are provided in good faith but without responsibility and should not be relied upon as statements or representations of fact. Prospective purchasers or tenants should satisfy themselves as to the accuracy of all information by inspection or other means.
Plans, photographs, and floor areas are provided for illustrative purposes only and may not be to scale. Any reference to appliances, services, or systems does not imply that they are in working order or have been tested.
We have not carried out a structural survey, nor have we tested any services, equipment, or facilities. Accordingly, we cannot confirm that these are in working order or fit for purpose.
In accordance with current regulations, we may receive a commission or referral fee from third-party service providers, including but not limited to mortgage brokers, financial advisors, conveyancers, surveyors, and insurance providers, should you choose to use their services. Details of any such arrangements are available upon request.
All measurements are approximate. Purchasers are advised to verify all information independently before proceeding with a transaction.
An exciting opportunity to acquire a substantial parcel of land extending to 1.43 acres (0.58 hectares) in the sought-after village of Eye, situated on Edgerley Drove, to the west of 65a, 65b, 65 and 67 Peterborough Road, Eye.
The Site
The land is generally level and comprises two separate parcels, which will require registration and title deeds to be drawn up in order to combine them as one single title.
Left-hand parcel – Former equestrian with agricultural buildings.
Right-hand parcel – Garden land, mainly laid to grass.
This versatile site offers potential for future development (subject to obtaining the necessary planning permissions).
Planning & Drawings
Drawings and plans have previously been prepared and are shown within the marketing photographs.
Please note:
Planning permission has not been granted. The drawings provided are for illustrative purposes only and represent an example of how the plot could be developed, subject to the appropriate consents.
Opportunity
Opportunities of this size and location rarely become available. With its generous acreage and established setting, the land offers significant potential for those seeking a development project in a desirable and well-connected area.
For further information please get in touch.
Disclaimer
These particulars are intended as a general guide only and do not form part of any offer or contract. All descriptions, dimensions, references to condition, necessary permissions for use and occupation, and other details are provided in good faith but without responsibility and should not be relied upon as statements or representations of fact. Prospective purchasers or tenants should satisfy themselves as to the accuracy of all information by inspection or other means.
Plans, photographs, and floor areas are provided for illustrative purposes only and may not be to scale. Any reference to appliances, services, or systems does not imply that they are in working order or have been tested.
We have not carried out a structural survey, nor have we tested any services, equipment, or facilities. Accordingly, we cannot confirm that these are in working order or fit for purpose.
In accordance with current regulations, we may receive a commission or referral fee from third-party service providers, including but not limited to mortgage brokers, financial advisors, conveyancers, surveyors, and insurance providers, should you choose to use their services. Details of any such arrangements are available upon request.
All measurements are approximate. Purchasers are advised to verify all information independently before proceeding with a transaction.
Mortgage calculator
Monthly repayment
£4,252 per month
Whole of market comparison
70+ lenders and 10,000+ products
The monthly repayments provided are estimates and should be used as a guide only. The actual amount you can borrow will depend on your personal financial situation and subject to a full application. For a more precise estimate, please use the Mojo mortgage calculator. Your home or property may be repossessed if you do not keep up repayments on your mortgage.



.png)