£1,000,000
Land for saleSt Judes, Plymouth PL4
Freehold
About this property
Unique opportunity to acquire a building site
Residential development
Parcel of land approx 1.3 hectares (circa 3.25 acres)
Outline planning approval for 50 dwellings
Ref application number No:18/01813/mdpo
Outline approval planning permissions 13/00854/out & 14/00791/out
Development commenced with extant agreement
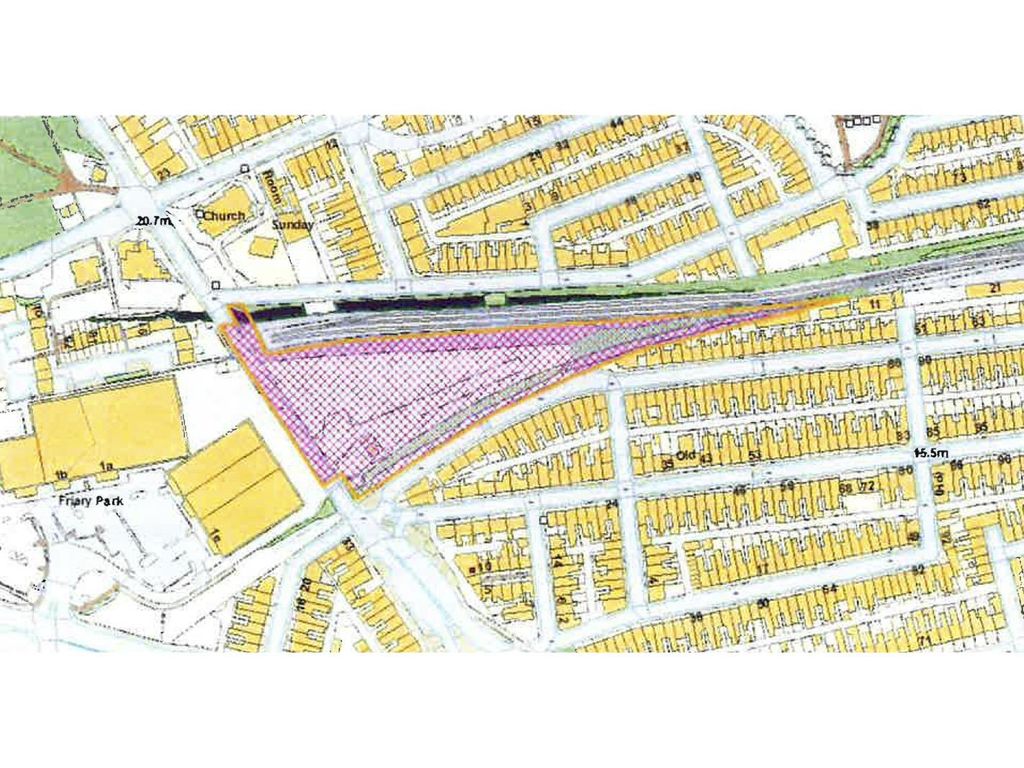
A triangular shaped parcel of land approximately 1.318 hectres (3.25 acres) in size. Located between Desborough Road and Knighton Road in St Judes. The outline approval comprising 50 residential dwellings, 3 bedroom & 4 bedroom dwellings. At a density at approximately 38 dwellings per hectre. A total of 96 car parking spaces in the form of 57 on plot spaces and 39 integral garages.
Land For Sale
Former Tothill Sidings
Desborough Road, St Judes, Plymouth, Pl4 9Pn
Site
A triangular shaped part of land approximately 1.318 hectres (3.25 acres) in size. Located between Desborough Road and Knighton Road in St Judes.
A former railway sidings which has been disused for many years. The site is generally level and unusual setting being at a lower level than all of the land and development that surrounds it. Surrounding developments to the North East and South is mainly residential with retail development immediately to the West, leading into the City Centre along Exeter Street. The City Centre is approximately a 700m walk from the site.
The surrounding residential development is period in character and mainly in the form of Edwardian and Victorian terraces, many of which have been subdivided into smaller units.
The outline approval comprising 50 residential dwellings, 3 bedroom & 4 bedroom dwellings. At a density at approximately 38 dwellings per hectre. A total of 96 car parking spaces in the form of 57 on plot spaces and 39 integral garages.
Land For Sale
Former Tothill Sidings
Desborough Road, St Judes, Plymouth, Pl4 9Pn
Site
A triangular shaped part of land approximately 1.318 hectres (3.25 acres) in size. Located between Desborough Road and Knighton Road in St Judes.
A former railway sidings which has been disused for many years. The site is generally level and unusual setting being at a lower level than all of the land and development that surrounds it. Surrounding developments to the North East and South is mainly residential with retail development immediately to the West, leading into the City Centre along Exeter Street. The City Centre is approximately a 700m walk from the site.
The surrounding residential development is period in character and mainly in the form of Edwardian and Victorian terraces, many of which have been subdivided into smaller units.
The outline approval comprising 50 residential dwellings, 3 bedroom & 4 bedroom dwellings. At a density at approximately 38 dwellings per hectre. A total of 96 car parking spaces in the form of 57 on plot spaces and 39 integral garages.
Mortgage calculator
Monthly repayment
£5,002 per month
Whole of market comparison
70+ lenders and 10,000+ products
The monthly repayments provided are estimates and should be used as a guide only. The actual amount you can borrow will depend on your personal financial situation and subject to a full application. For a more precise estimate, please use the Mojo mortgage calculator. Your home or property may be repossessed if you do not keep up repayments on your mortgage.



.jpeg)