£650,000
Land for saleHigh Street, Dodworth, Barnsley S75
Freehold
About this property
If you’re looking for a development opportunity, this is one not to be missed 👀
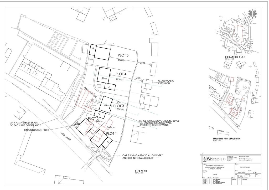
Outline planning permission has been granted for the construction of five detached homes (Barnsley planning ref: 2024/0780), offering a fantastic opportunity for developers or investors to create a high-quality scheme in a sought-after location.
The site is currently occupied by a substantial detached property, which is arranged as two dwellings, along with a range of outbuildings. The approved scheme includes demolition of the existing buildings, however there may be scope for alternative proposals or retaining the current dwelling with a generous plot, all subject to the necessary planning consents.
Positioned close to shops, schools, link roads and beautiful countryside, this is a location where demand for quality detached homes remains consistently strong.
Opportunities like this are rare. To discuss further or arrange a viewing, please contact NestledIn.
Property video (please copy and paste)
The accommodation (91 and 91a)
91
Ground floor
First floor
91a
Outside
Large plot with various outbuildings.
Useful info
We understand the council tax band to be C. We have not verified this with the owner and would recommend any incoming purchaser to make their own enquiries. We understand the tenure to be freehold. Please confirm this with your legal representative.
Directions
S75 3RQ
disclaimer
1. Money laundering: We may ask for further details regarding your identification and proof of funds after your offer on a property. Please provide these in order to reduce any delay.
2. Details: We endeavor to make the details and measurements as accurate as possible. However, please only take them as indicative only. Measurements are taken with an electronic device. If you are ordering carpets or furniture, we would advise taking your own measurements upon viewing.
3. Services: No services have been tested by NestledIn.
Outline planning permission has been granted for the construction of five detached homes (Barnsley planning ref: 2024/0780), offering a fantastic opportunity for developers or investors to create a high-quality scheme in a sought-after location.
The site is currently occupied by a substantial detached property, which is arranged as two dwellings, along with a range of outbuildings. The approved scheme includes demolition of the existing buildings, however there may be scope for alternative proposals or retaining the current dwelling with a generous plot, all subject to the necessary planning consents.
Positioned close to shops, schools, link roads and beautiful countryside, this is a location where demand for quality detached homes remains consistently strong.
Opportunities like this are rare. To discuss further or arrange a viewing, please contact NestledIn.
Property video (please copy and paste)
The accommodation (91 and 91a)
91
Ground floor
- Entrance
- Lounge
- Sitting area
- Dining area
- Kitchen
First floor
- Bedroom
- Bedroom
- Bedroom
- Bathroom
91a
- Entrance
- Kitchen and lounge
- First floor
- Bedroom
- Bathroom
Outside
Large plot with various outbuildings.
Useful info
We understand the council tax band to be C. We have not verified this with the owner and would recommend any incoming purchaser to make their own enquiries. We understand the tenure to be freehold. Please confirm this with your legal representative.
Directions
S75 3RQ
disclaimer
1. Money laundering: We may ask for further details regarding your identification and proof of funds after your offer on a property. Please provide these in order to reduce any delay.
2. Details: We endeavor to make the details and measurements as accurate as possible. However, please only take them as indicative only. Measurements are taken with an electronic device. If you are ordering carpets or furniture, we would advise taking your own measurements upon viewing.
3. Services: No services have been tested by NestledIn.
Mortgage calculator
Monthly repayment
£3,251 per month
Whole of market comparison
70+ lenders and 10,000+ products
The monthly repayments provided are estimates and should be used as a guide only. The actual amount you can borrow will depend on your personal financial situation and subject to a full application. For a more precise estimate, please use the Mojo mortgage calculator. Your home or property may be repossessed if you do not keep up repayments on your mortgage.



.png)