Guide price
£11,500
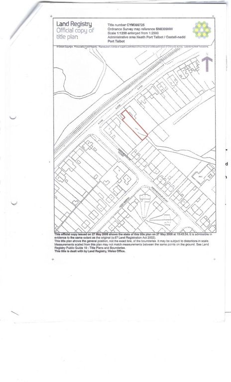
Land for saleParcel Of Land, 32 Golwg Y Bryn, Seven Sisters, Neath, West Glamorgan SA10
Auction
Freehold
About this property
Advised Freehold - to be verified by solicitor
To be sold with vacant possession investors If you are looking for assistance in tenant find and/or management packages, information on rental income/interest potential we have a...
For sale by online auction - Lot 82 - Plot of land
Bidding opens: 14/04/2026 12:00
Auction scheduled to end: 16/04/2026 16:44
online auction from 14th April - 16th April 2026
A rectangular shaped plot of land positioned in between two houses and with an open outlook to the front. Given it's residential location the land could offer development potential subject to the necessary planning consents. The site extends to 0.16 acres.
Seven Sister is a busy Village lying on the A4109 approx 12 miles north of Neath and the A465 and 4 miles south of the A4109.
Tenure:
Advised Freehold - to be verified by solicitor
Tenancies:
To be sold with vacant possession
investors If you are looking for assistance in tenant find and/or management packages, information on rental income/interest potential we have a Lettings Department that can help you. Please call us or email for invaluable advice.
Bidding opens: 14/04/2026 12:00
Auction scheduled to end: 16/04/2026 16:44
online auction from 14th April - 16th April 2026
A rectangular shaped plot of land positioned in between two houses and with an open outlook to the front. Given it's residential location the land could offer development potential subject to the necessary planning consents. The site extends to 0.16 acres.
Seven Sister is a busy Village lying on the A4109 approx 12 miles north of Neath and the A465 and 4 miles south of the A4109.
Tenure:
Advised Freehold - to be verified by solicitor
Tenancies:
To be sold with vacant possession
investors If you are looking for assistance in tenant find and/or management packages, information on rental income/interest potential we have a Lettings Department that can help you. Please call us or email for invaluable advice.
Mortgage calculator
Monthly repayment
£57 per month
Whole of market comparison
70+ lenders and 10,000+ products
The monthly repayments provided are estimates and should be used as a guide only. The actual amount you can borrow will depend on your personal financial situation and subject to a full application. For a more precise estimate, please use the Mojo mortgage calculator. Your home or property may be repossessed if you do not keep up repayments on your mortgage.



.png)