£30,000
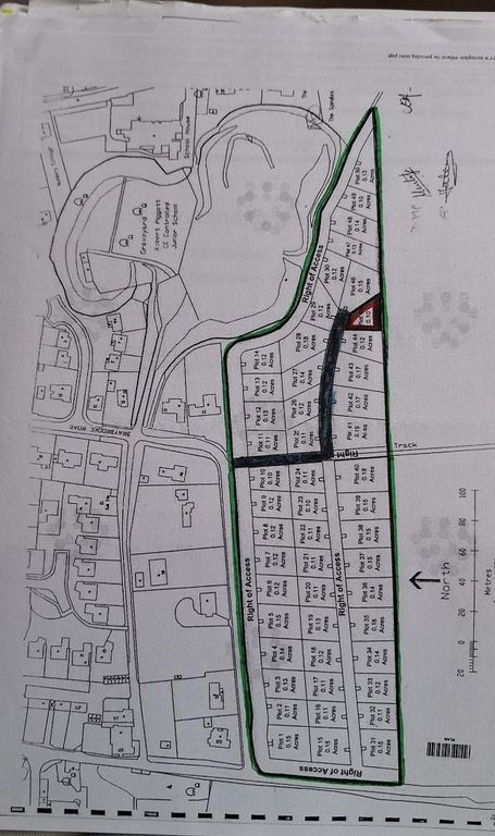
Land for salePlot 45, Sheeplands Farm Wargrave, Reading RG10
EPC Rating: C
Just added
Freehold
About this property
A rare opportunity to acquire approximately 0.1 acre of attractive farmland situated in the sought-after village of Wargrave. This parcel of land offers a peaceful rural setting with convenient access to local amenities and transport links.
The land is predominantly level and well-suited for a variety of uses, subject to any necessary consents. Surrounded by picturesque countryside, it provides an ideal space for recreational use, small-scale agriculture, or investment.
Easily accessible and set within a desirable location, this is a unique chance to secure a manageable plot in a highly regarded area.
The land is predominantly level and well-suited for a variety of uses, subject to any necessary consents. Surrounded by picturesque countryside, it provides an ideal space for recreational use, small-scale agriculture, or investment.
Easily accessible and set within a desirable location, this is a unique chance to secure a manageable plot in a highly regarded area.
Mortgage calculator
Monthly repayment
£150 per month
Whole of market comparison
70+ lenders and 10,000+ products
The monthly repayments provided are estimates and should be used as a guide only. The actual amount you can borrow will depend on your personal financial situation and subject to a full application. For a more precise estimate, please use the Mojo mortgage calculator. Your home or property may be repossessed if you do not keep up repayments on your mortgage.


.png)