£1,667,081
US$2,250,000
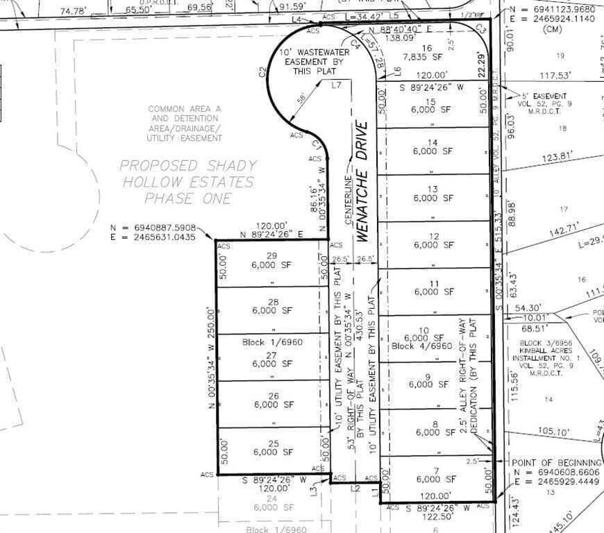
Property for saleWenatche Drive, Tx, United States Of America
About this property
2.10 Acres
Adult Community: No
Waterfront: No
Pool: No
View: No
15 cul-de-sac lots in desirable, quiet area of Dallas, to be sold as complete, platted lots. Development underway with paving expected to be complete in 60 days. Several lots have adjoining open space and other premium features. Part of a 73-lot infill project, a rare opportunity for new single-family lots inside Loop 12. Larger development includes access to large park and elementary school. Seller will entertain offers for a partial sale.
Reference: 37244_DFW2039432
Key Features
2.10 Acres
Adult Community: No
Waterfront: No
Pool: No
View: No Ref: 37244-DFW2039432
Reference: 37244_DFW2039432
Key Features
2.10 Acres
Adult Community: No
Waterfront: No
Pool: No
View: No Ref: 37244-DFW2039432

.png)