£9,120 pa
(£4.56/sq. ft. pa)
Land to letHulton Street, Hanley, Stoke-On-Trent ST1
2,000 sq. ft
Available immediately
About this property
Open Storage Land
Various Areas Available
Description
Various areas of open storage land available to rent on a monthly licence term.
Location
The open storage land is located on Hulton Street and Town Road on the A5272 approximately half a mile north east of Hanley City Centre. The site is adjacent to a business park whose occupiers include Stoke-on-Trent Tribunal Hearing Centre, Centre Plate UK, etc. The site is also opposite Richer Sounds and Kitchen Haus is on site.
Stoke-on-Trent City Centre is a regional shopping centre with an estimated retail catchment of some 1 million people. There is also good access via the Stoke-on-Trent City Centre Ring Road to the A500, an urban expressway through the heart of the North Staffordshire conurbation, linking junctions 15 and 16 of the M6 Motorway.
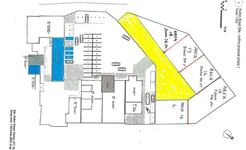
Accommodation
Area 15 - 3,200 sq.ft - £760 pcm - let
Area 16 - 3,000 sq.ft - £700 pcm - let
Area 17 - 3,000 /sq, ft - let
Area 18 - 2,000 sq.ft - let
Tenure
The storage land is available on a monthly licence term.
Planning
Bjb recommend that potential occupiers make their own enquiries to the local authority in order to satisfy themselves that their proposed use is authorised in planning terms.
Credit Check
On agreed terms the ingoing tenant will be required to pay a fee of £85 to buttersjohnbee for the application and collation of references and credit data from a third party. The application process will, under normal circumstances take between two and five working days. The applicant will be required to complete a simple online form for submission to our credit reference agency. Application fee will be payable in advance and will not be refundable.
Legal Costs - Letting
The ingoing tenant is responsible for the landlord's legal costs in connection with the preparation of the lease.
Viewing
Strictly by appointment via bjb commercial, Suite 1, Albion House, No.2 Etruria Office Village, Forge Lane, Festival Park, Stoke-on-Trent, ST1 5RQ
Telephone . Opening hours are 9.00-5.30pm, Monday to Friday.
Vat
VAT is to be confirmed.
Please enquire with the agent if vat is applicable or not on this premises.
Various Areas Available
Description
Various areas of open storage land available to rent on a monthly licence term.
Location
The open storage land is located on Hulton Street and Town Road on the A5272 approximately half a mile north east of Hanley City Centre. The site is adjacent to a business park whose occupiers include Stoke-on-Trent Tribunal Hearing Centre, Centre Plate UK, etc. The site is also opposite Richer Sounds and Kitchen Haus is on site.
Stoke-on-Trent City Centre is a regional shopping centre with an estimated retail catchment of some 1 million people. There is also good access via the Stoke-on-Trent City Centre Ring Road to the A500, an urban expressway through the heart of the North Staffordshire conurbation, linking junctions 15 and 16 of the M6 Motorway.
Accommodation
Area 15 - 3,200 sq.ft - £760 pcm - let
Area 16 - 3,000 sq.ft - £700 pcm - let
Area 17 - 3,000 /sq, ft - let
Area 18 - 2,000 sq.ft - let
Tenure
The storage land is available on a monthly licence term.
Planning
Bjb recommend that potential occupiers make their own enquiries to the local authority in order to satisfy themselves that their proposed use is authorised in planning terms.
Credit Check
On agreed terms the ingoing tenant will be required to pay a fee of £85 to buttersjohnbee for the application and collation of references and credit data from a third party. The application process will, under normal circumstances take between two and five working days. The applicant will be required to complete a simple online form for submission to our credit reference agency. Application fee will be payable in advance and will not be refundable.
Legal Costs - Letting
The ingoing tenant is responsible for the landlord's legal costs in connection with the preparation of the lease.
Viewing
Strictly by appointment via bjb commercial, Suite 1, Albion House, No.2 Etruria Office Village, Forge Lane, Festival Park, Stoke-on-Trent, ST1 5RQ
Telephone . Opening hours are 9.00-5.30pm, Monday to Friday.
Vat
VAT is to be confirmed.
Please enquire with the agent if vat is applicable or not on this premises.



.png)